First Capital NE Corner of Avenue Road and Lawrence
From a summary compiled by the Upper Avenue Community Association (UACA).
At long last, First Capital has re-submitted its application to the City of Toronto. In case you have not been keeping track, several months ago First Capital also secure the site of Royal Lighting to further expand the development site. The following provides an overview of the re-submission and sets out concerns SAHRA also has with the development. It is also known that First Capital has submitted their application to the Ontario Land Tribunal. This may suggest they want to mitigate the City’s position.
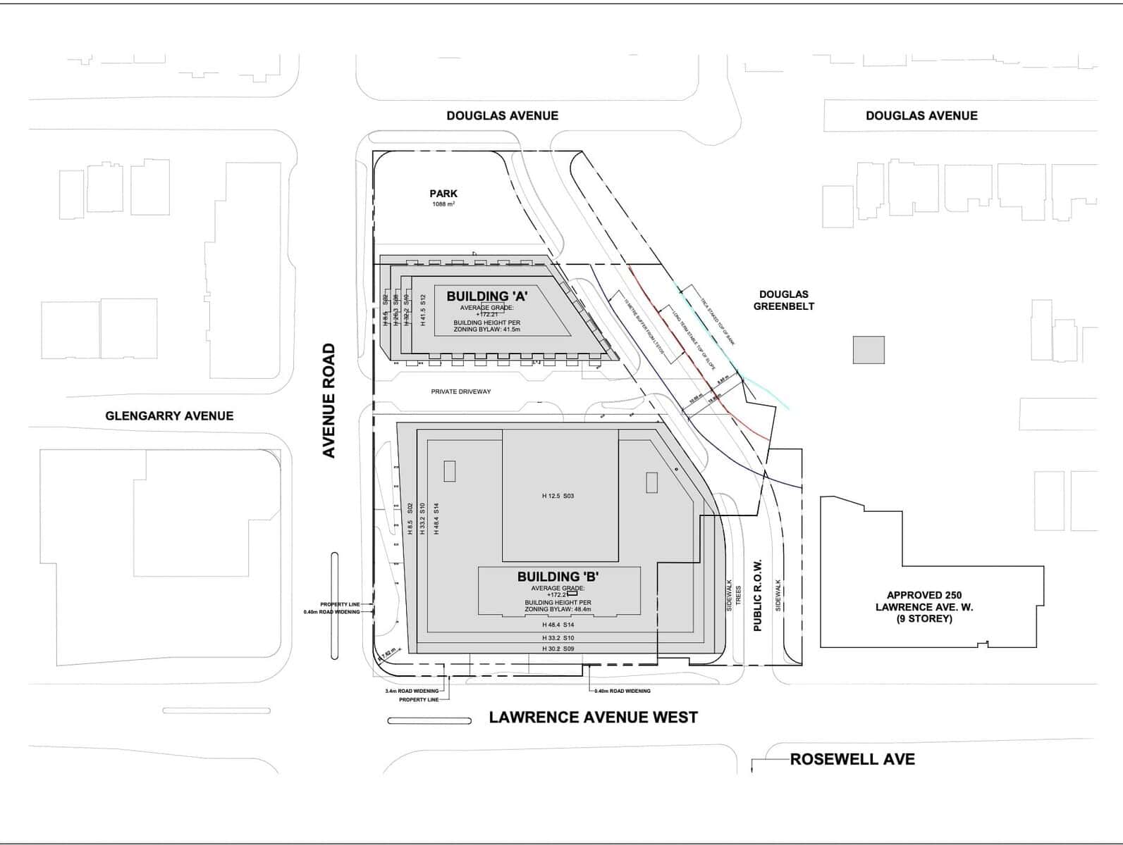
As a refresher, this project will extend from the west boundary of 250 Lawrence extending all the way around to Douglas Avenue.
Details of the proposal:
- Two condo towers – Tower B is proposed at 14 storeys and a height of 47 meters (closest to Lawrence). Tower A is proposed at 12 storeys and a height of 40 meters.
- 655 Units (this is an increase of 123 units from their initial application).
- A public park located next to Douglas Avenue.
- Public roadway along the eastern edge of the revised property, from just west of 250 Lawrence , meeting up with Douglas Ave at the north. See diagram below”.
- Private driveway entrance off Avenue Road.
- Signalized lights being considered for Douglas/Avenue Road and Lawrence/Rosewell.
- Retail proposed for the main floors of each building.
- Three levels of parking underground.


View from SW Corner of Avenue and Lawrence

View from Private Driveway Entrance off Avenue Road
We will continue to monitor this application as it works through the city planning review process as well as the Ontario Land Tribunal and will provide updates as appropriate.